Location
TANGO 23 is the newest subdivision for Albany, Texas. It features acreage lots from 7.618 to 15.189 acres. Tango 23 will allow those with airplanes to be close to the Albany airport and allows the fun of seeing the aircraft come and go.
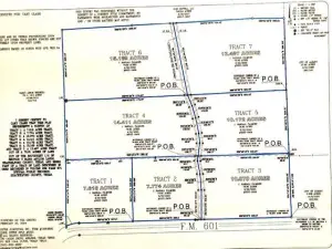
The entrance is located on FM 601 just south of Albany adjacent to the airport runway. This is Lot 6. This particular interior lot has 608 feet of road frontage and is 1175′ deep.
It features an all weather road that comes up the middle of TANGO 23 and will include access to City of Albany water. Electricity is also close.
The entrance is located on FM 601 just south of Albany adjacent to the airport runway. This is Lot 6. This particular interior lot has 608 feet of road frontage and is 1175′ deep.
It features an all weather road that comes up the middle of TANGO 23 and will include access to City of Albany water. Electricity is also close.
Property Details
Price:
$202,305
MLS #:
20759869
Status:
Pending
Baths:
0
Type:
Land
Subtype:
Improved Land
Subdivision:
Tango 23
Listed Date:
Oct 22, 2024
Lot Size:
587,493 sqft / 13.49 acres (approx)
Schools
School District:
Albany ISD
Elementary School:
Nancy Smith
High School:
Albany
Interior
Exterior
Lot Size Area
13.4870
Number Of Lots
1
Vegetation
Brush, Cleared
Financial

See this Listing
Aaron a full-service broker serving the Northern DFW Metroplex. Aaron has two decades of experience in the real estate industry working with buyers, sellers and renters.
More About AaronMortgage Calculator
Similar Listings Nearby
Community
- Address176 FM 601 Albany TX
- SubdivisionTango 23
- CityAlbany
- CountyShackelford
- Zip Code76430
Subdivisions in Albany
Market Summary
Property Summary
- Located in the Tango 23 subdivision, 176 FM 601 Albany TX is a Land for sale in Albany, TX, 76430. It is listed for $202,305 and features 13 acres. To schedule a showing of MLS#20759869 at 176 FM 601 in Albany, TX, contact your Aaron Layman Properties agent at 940-209-2100.

176 FM 601
Albany, TX




