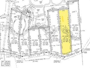
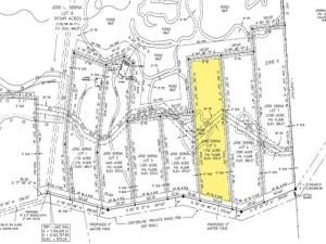
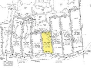
Property listings in Bonita Vista Estates Subdivision
[{“featureType”:”administrative”,”elementType”:”geometry”,”stylers”:[{“visibility”:”off”}]},{“featureType”:”poi”,”elementType”:”labels.text”,”stylers”:[{“visibility”:”off”}]},{“featureType”:”poi.business”,”stylers”:[{“visibility”:”off”}]},{“featureType”:”road”,”elementType”:”labels.icon”,”stylers”:[{“visibility”:”off”}]},{“featureType”:”road.arterial”,”elementType”:”labels”,”stylers”:[{“visibility”:”off”}]},{“featureType”:”road.highway”,”elementType”:”labels”,”stylers”:[{“visibility”:”off”}]},{“featureType”:”road.local”,”elementType”:”labels”,”stylers”:[{“visibility”:”off”}]},{“featureType”:”transit”,”stylers”:[{“visibility”:”off”}]}]
V








