Location
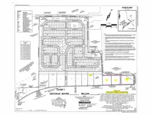
This commercial lot has double frontage on Loop 567 as well as Camp Crucis Ct. and is part of a recently platted Subdivision known as Crucis Creek Addition. There are 305 SINGLE FAMILY LOTS platted immediately behind this property WHICH IS AVAILABLE AS WELL. This location is grandfathered for City water and sewer.
Property Details
Price:
$895,594
MLS #:
21007850
Status:
Active
Baths:
0
Type:
Land
Subtype:
Unimproved Land
Subdivision:
Crucis Creek
Listed Date:
Jul 22, 2025
Lot Size:
111,949 sqft / 2.57 acres (approx)
Year Built:
Schools
Interior
Exterior
Construction Materials
Other
Lot Size Area
111949.0000
Financial

See this Listing
Aaron a full-service broker serving the Northern DFW Metroplex. Aaron has two decades of experience in the real estate industry working with buyers, sellers and renters.
More About AaronMortgage Calculator
Similar Listings Nearby
Community
- AddressTBD 29 Loop 567 Granbury TX
- SubdivisionCrucis Creek
- CityGranbury
- CountyHood
- Zip Code76048
Subdivisions in Granbury
- A W GATES
- Abe\’s Landing
- Abes Landing
- Abes Landing Ph 4b
- Abes Landing Ph 5a-1
- Abes Landing Ph One
- Abes Landing Ph Three A
- Abes Landing Ph Two B
- Abst A W GATES – ABST 205
- Abst S HERRON – ABST 247
- ABST: J D JAMESO N – ABST 294
- Abst: M SMITH – ABST 504
- Abstract S Herron 247
- ACE HARDWARE ADDITION
- Acres 2.09 abst: Milam
- ACRES: 2.825 ABST: L BOATWRIGHT – ABST 27
- ACRES: 20.000 ABST: J D JAMESON – ABST 294
- Acton Landing
- Acton Landing Ph I
- Acton Middle School Add
- Acton Storage Addition
- Adalie Oaks Subdivision
- Aiken Sub
- Albertelli Add
- Alta Vista Estates II
- Andrews Acres
- Arrowhead Shores
- Arrowhead Shores Sec A
- Arrowhead Shores Sec B
- Ashley Oaks
- Ashley Oaks Ph One
- Ashley Oaks Ph Two
- Atomic Plaza Add
- Bailey
- Barton
- Bella Vista
- Bentwater
- Bentwater On Lake Granbury
- Bentwater On Lake Granbury Sec One
- Bentwater On Lake Granbury Sec Three
- Bentwater On Lake Granbury Sec Two
- Blue Branch Ranch Sub
- Blue Water Shores
- Bluff View On Lake Granbury
- Boggs Add
- Bonita Vista Estates
- Brazos Harbor
- Brazos River Acres
- Brazos River Acres Sec A
- Brazos River Acres Sec B
- BRIARWOOD
- Burton Estates
- Canyon Creek
- Canyon Creek II
- Canyon Creek III
- Canyon Creek III UN 7
- Canyon Creek IV
- Canyon Creek Un 1
- Canyon Creek UN 2
- Canyon Creek V
- CANYON CREEK V UNIT 9
- Catalina Bay II Ph Ii-A
- Catalina Bay II Ph Ii-B-1
- chaparral estates
- Chism
- Cobblestone Court
- Comanche Cove
- Comanche Cove Sec A Ch
- Comanche Cove Sub Sec A
- Comanche Cove Sub Sec B
- Comanche Cove Sub Sec C
- Comanche Harbor
- Comanche Harbor Sec B
- Comanche Harbor Sec C
- Comanche Harbor Sec D
- Comanche Harbor Sec E
- Comanche Harbor, Sec C
- Comanche Peak North
- Comanche Ranch Estates
- commanche cove
- Corridor 51 Bus Center
- Corridor 51 Business Center
- COUGAR MOUNTAIN
- Cougar Mountain Estates
- Cougar Mountain Estates Ph 1
- COUGAR MOUNTAIN ESTATES PHASE 1
- COULSTON
- Country Hill Acres
- Country Meadows
- Craig Add
- Crawford Place
- CRITES
- De Cordova Bend Estates
- De Cordova Hills
- De Cordova Ranch
- De Cordova Ranch Ph 5-A
- De Cordova Ranch Ph 5-B
- Decordova Bend
- DECORDOVA BEND EST
- Decordova Bend Estate
- Decordova Bend Estate Ph 1
- DeCordova Bend Estates
- DeCordova Ranch
- Decordova Villas Ph II
- Deer Park Estates
- Dove Winds
- E GREEN – ABST 213
- Eagles Crest
- East Park
- Eastwood Village
- Eastwood Village Sec A
- El Dorado
- Emerald Bay
- Enchanted Village Ph 2
- Fairview Ranches
- Felix C Cattonet Surv Abs 92
- Fenimore Tracts
- Forest Hill
- Forest Hill Add Ph 2
- Forest Oaks
- Fountain Village
- G W MEADE
- Galveston Co Abst 852
- Gateway Add
- Gateway Hills
- Gemstone
- Gemstone Estates Ph One
- Gemstone Estates Ph Three
- GEMSTONE ESTATES PHASE FOUR
- Gran Tera Sub
- Granbury
- Granbury Acres
- Granbury Corners Add
- Granbury Medical Plaza Add
- Grand Harbor Ph One
- Grand Places Of Hood County
- Grandbury
- Grande Cove Estates
- Gribble Springs
- Gw Walters A-594
- Harbor Lakes
- Harbor Lakes Ph 1a
- Harbor Lakes Ph 2
- Harbor Lakes Ph 3
- Harbor Lakes Sec 14
- Harbor Lakes Sec 4
- Harbor Lakes Sec 6b
- Harbor Lakes Sec 8 Ph II
- Heather Place Add Ph I
- Heather Place Add Ph II
- Heritage Heights Sec 1
- Heritage Heights Sec 2
- Hideaway Bay Estate
- Highland Park Bay
- Hilltop Village
- Holiday Estates
- Hunterwood
- Indian Harbor
- Indian Harbor Ph 1
- Indian Harbor Ph 10
- Indian Harbor Ph 11
- Indian Harbor Ph 12
- Indian Harbor Ph 13
- Indian Harbor Ph 15
- Indian Harbor Ph 16
- Indian Harbor Ph 18
- Indian Harbor Ph 2
- Indian Harbor Ph 3
- Indian Harbor Ph 4
- Indian Harbor Ph 5
- Indian Harbor Ph 6
- Indian Harbor Ph 8
- Indian Harbor Ph 9
- Indian harbor ph8
- Indian Harbor Phase 1
- Indian Harbour
- Indian Mountain Tracts
- J HOWARD – ABST 717
- J Norris ABST
- Ja Tandy
- Jackson Bend Mh Park Sub
- Jackson Heights Sub
- James Rd sub
- James Road Sub
- JD Brown
- John Chenowith Surv Abs #84
- John Sealy Surv Abs #539
- John T Hall Surv & The Joseph
- Josiah Estates
- Josiah Estates Ph One
- Josiah Estates Ph Two
- Josiah Estates, Phase 2
- Kay Neely
- Kennon Meadows
- Kennon Meadows Ph I
- Kennon Meadows Ph II
- Kings Plaza
- Knob Hill Ph Two
- Krzeminski Surgical Plaza
- l MANLEY-ABST 404
- La Vista Dcbe Twnhms
- Laguna Tres
- Laguna Tres Estate
- Laguna Vista
- Laguna Vista Ltd
- Lake Country Acres
- Lake Forest
- Lake Granbury Estates
- Lake Granbury Harbor
- Lake Granbury Hbr Sec A
- Lake Granbury Hbr Sec B
- Lake Granbury Hbr Sec C
- Lake Granbury Hbr Sec D
- Lake Granbury Hbr Sec F
- Lake Granbury RV Ranch
- Lakecrest Manor
- Lakes At Timber Cove
- Lakeside Hills
- Lakewood Hills
- Lakewood Hills Estates
- Lakewood Hills Sec 2
- Lakewood Hills Sec 3
- Lakewood Hills Sec 4
- Lakewood Plaza
- Lantana
- Larned
- Live Oak Estates
- Long Creek
- Long Creek Sub Sec 2
- Long Creek Subdivision
- Lowes Add
- Luker Ranch
- M SETZER – ABST 502
- M Setzer Abstract 502
- Main Place
- Main Place Ph I
- Main Place Ph II
- Mallard Pointe On Lake Granbury
- Mambrino Storage Add
- Marina Hills
- Martin Tracts
- Meadow Heights
- Meadowlark Add
- Meadows West Add Ph One
- Meadows West Addition
- Meander Estates
- Meander Estates Ph One
- Meander Estates Ph Three
- Meander Estates Ph Two
- Meander Park Add
- Meandering Oaks
- Mesa Grande
- Mid-Haven Estates
- MILAM CO
- Milam CO ABST
- MILAM CO-ABST 348
- Milam County School Land Surv
- Misty Meadows
- Mitchell Bend
- Modern Oaks
- Montego Bay
- Moore Estates
- Mountain View Add
- Mulligans Addition
- N F PROPERTIES, TRACT 2
- N-A
- Nassau Bay
- Nassau Bay I
- NASSAU BAY II
- NO
- Nolan Creek
- Non-applicable
- Norman Meadows
- Nutt Add
- O WATSON
- Oak Grove Farm
- Oak Hills
- Oak Trail Shores
- Oak Trail Shores Sec A
- Oak Trail Shores Sec B
- Oak Trail Shores Sec C
- Oak Trail Shores Sec D
- Oak Trail Shores Sec E
- Oak Trail Shores Sec F
- Oak Trail Shores Section E
- Oak Water Ranch
- Oakwood Lake
- Old Granbury Estates
- Orchard 12a
- Orchard 12b
- Orchard 14
- Orchard 15a
- Orchard 15b
- Original Town
- Park 51
- Pecan Estates Sec 1
- Pecan Estates Sec 2
- Pecan Plantation
- Pecan Plantation in The Landings
- Pecan Plantation Orchard 12a
- Pecan Plantation Orchard 15a
- Pecan Plantation Orchard Add #2
- Pecan Plantation Un 12
- Pecan Plantation UN 17
- PECAN PLANTATION UN 2
- Pecan Plantation Un Thirteen
- Pecan Plantation UN7
- Pecan Plantation Unit 14 R-1
- Pecan Plantation- The Landings
- Pecan Plantation-EAST LAKE PHASE 1
- Pecan Plantation, Orchard Add #4
- Pecan Reserve
- Peters
- Pirate Village
- Plaza East
- Port Ridglea
- Port Ridglea East Sec 1
- Port Ridglea East Sec 2
- Porter Tracts
- Ports O Call
- Ports O\’Call
- Ports Ocall
- Proffitts Sub
- Quail Ridge Acres
- R MERRITT
- Rancho Brazos
- River Run
- Robinson Creek Estates
- Rock Harbor 2nd Filing
- Rock Harbor Estate
- Rolling Creek Ranch
- Rolling Creek Ranch Ph 1
- Rolling Creek Ranch Ph II
- Rolling Creek Ranch Ph III
- ROLLING CREEK RANCH PHASE III
- ROUGH CREEK EST
- Rough Creek Estate
- Royal Oaks
- Sandstone Estates
- Saratoga
- Saratoga Ph 1-A
- Saratoga Ph 2-A
- SARATOGA PHASE 1-A
- Sargent Tracts
- Scenic View Estates
- School Lnd Srvy-348
- Schroeder Add
- Schwerdt\’s
- Sealey Ridge
- Sealey Ridge Ph 2
- SevenTen Ranch
- Shady Grove
- Six J Bay
- Sky Harbour Sec 11
- Sky Harbour Sec 2
- Sky Harbour Sec 3
- Sky Harbour Sec 4
- Sky Harbour Sec 5
- Sky Harbour Sec 6
- Sky Harbour Sec 8
- Sky Harbour Sec 9
- Sky View Acres
- South Bend
- South Grove
- South Grove Add
- South Harbor
- Southtown
- Spanish Trail
- Squaw Creek Sub
- Stanton Heights
- STEWART RANCH
- Stoney Creek
- Stroud Creek
- Stroud Creek Sec 4
- Summerlin Add Ph One
- Sunchase Hills
- Sunchase Village
- Sunrise Bay
- Sunset Cove
- Swparkway Indust Park
- T E CARPENTER – ABST 102
- TBD
- The Acres I
- The Bluffs
- The Cliffs On Lake Granbury
- The Hills Of Gby Ph II
- The Hills Of Gby Ph V-R
- The Landings
- The Landings East
- The Liveoaks Add
- The Lodge of Granbury
- The Oaks At Fall Creek Country Estates Ph One
- The Oaks At Fall Creek Country Estates Ph Three
- The Peninsula on Lake Granbury
- The Quarry
- The Ranches At Star Hollow
- The Shores
- The Tradition At Port Ridglea
- The Village At Lake Granbury
- The Villas At Pecan Plantation
- The Vineyards At Harbor Lakes
- The Watermark On Lake Granbury
- Thrash
- Tillar Granbury Place
- Timber Cove
- Timber Ridge
- Timberhaven
- Traylor Horton
- Treaty Oak
- Treaty Oaks
- Treaty Oaks Community
- Uncle Careys Addition
- Villages Of Stonebrook
- Vintage Floors Addition
- Vista Oaks
- Vista Oaks Ph 1
- Vista Oaks Ph 2
- Walnut Creek
- waters edge
- Waterwood Estates
- Western Hills
- Western Hills Harbor
- Whippoorwill Bay Sec F
- Whippoorwill Bay Sec H
- Whippoorwill Bay Sec L
- Whippoorwill Bay Sec M
- Whippoorwill Bay Sec W
- Whisperview Village
- Wildwood
- Willow Ridge Add
- Woodcreek Sub
- WR McCreary Survey
- xxxx
Market Summary
Property Summary
- Located in the Crucis Creek subdivision, TBD 29 Loop 567 Granbury TX is a Land for sale in Granbury, TX, 76048. It is listed for $895,594 and features 3 acres. To schedule a showing of MLS#21007850 at TBD 29 Loop 567 in Granbury, TX, contact your Aaron Layman Properties agent at 940-209-2100.

TBD 29 Loop 567
Granbury, TX




