Location
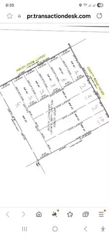
Plenty of road frontage on these 80 acres in Grandview School Distract. Located close to I35. Road frontage on CR 204 and CR 103. Currently cultivated for hay. Has been farmed for over 100 years. No road frontage on FM 916 but very close. Must see to appreciate this clean farmland. Could make a great site for a development. Buyer should verify electrical and water info needed for a development. Seller will not pay roll back taxes. Gas well site is not located on this property. Markers are approximate for a visual idea of land size Seller will subdivide into (5) 5-acre parcels (4) 10-acre parcels (1) 15-acre parcel or if buyer wants larger parcel, he will also do that. Water well and onsite septic will have to be installed. Restrictions are No Manufactured Home, Pig Farms. Junkyards or junk vehicles Minimum Sq Ft 2000 site built, Minimum 80% Masonry on exterior, Barndominum are allowed, will not split property smaller then 5-acre tracts Maximum one home per 5-acre tract Seller will not pay any rollback taxes
Property Details
Price:
$299,999
MLS #:
20937844
Status:
Active
Baths:
0
Type:
Land
Subtype:
Unimproved Land
Subdivision:
R Hare
Listed Date:
May 15, 2025
Lot Size:
435,600 sqft / 10.00 acres (approx)
Schools
School District:
Grandview ISD
Elementary School:
Grandview
High School:
Grandview
Interior
Exterior
Lot Size Area
10.0000
Lot Size Dimensions
287x 1866
Financial

See this Listing
Aaron a full-service broker serving the Northern DFW Metroplex. Aaron has two decades of experience in the real estate industry working with buyers, sellers and renters.
More About AaronMortgage Calculator
Similar Listings Nearby
Community
- AddressLot 10 CR103 Grandview TX
- SubdivisionR Hare
- CityGrandview
- CountyJohnson
- Zip Code76050
Subdivisions in Grandview
- 07069-81
- 126.1089 – TURNER M
- 301 Place
- ABST 20 TR 58 WM BOATRIGHT
- ABST 203 TR 11D J S DAVIS
- Abst 480 Tr 71b F L Kirtley
- ABST 485 TR 1A1 A D KInnard Acres: 37.8759
- ABST 543 TR 64F U MENDOZA Acres: 1.0000
- ABST 579 TR 6F C MANOR Acres
- ABST 912 TR 32A T WELLS
- Acres of Blessing
- BATTERSON
- Beacon Ridge Estates
- Cardinal Mdws Add
- City Grandview Downtown Pking
- City ofGrandview Downtown Pking
- Cross Timber Estates
- Escape Sub
- Ethan Melton Surv Abs #556
- FL Kirtley
- Garcia Estates
- gatlin Acres
- Gatlin Acres Four W Add
- Grand View Ranch
- Grand View Ranch Ph 1
- GRAND VIEW RANCH PH 1 TR 36
- Grand View Ranch Tr 51 Ph 1
- Grand View Ranch Tr 56 Ph 1
- Grandview Acres
- Grandview Additon
- Grandview Heights
- Grandview Ranch
- Itasca Rural 3500
- J C Russell
- J Holman
- J Walton
- Jack Butler Estates
- John & Martha Glenn Add
- Lamberth Estates
- Lonesome Mdw Estates
- M Crothers
- Matthews Farms
- Mc Ferrin
- Merriweather
- Merriwether
- Morrison
- Original Town Grandview
- Pamela Sesssion Svy
- Quail Run
- R Hare
- R TANDY
- R Tandy Surv Abs
- Ralph Tandy Surv
- Ralph Tandy Surv Abs #824
- Ralph Tandy survey Abstract No. 824 Tract 1 66.631
- Ramsey
- Ramsey Addition
- RAMSEY ADDN
- rural
- S S Smith
- School Land Surv Abs #442
- South Summit
- Sparger Addition
- Springer
- T Wells Surv Abs #912
- Trinity Acres
- Vista Point
- Vista Point Phase 1
- W O Meriwether Surv Abs #555
- William O Merriweather Surv Ab
- William Owens
- Yoder Add
- Zebra Plaza
Market Summary
Property Summary
- Located in the R Hare subdivision, Lot 10 CR103 Grandview TX is a Land for sale in Grandview, TX, 76050. It is listed for $299,999 and features 10 acres. To schedule a showing of MLS#20937844 at Lot 10 CR103 in Grandview, TX, contact your Aaron Layman Properties agent at 940-209-2100.

Lot 10 CR103
Grandview, TX



