Location
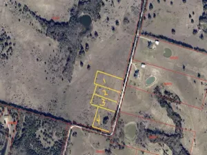
Looking for the perfect acreage for your new home? This is it! Conveniently located just a few miles outside Sherman city limits, these 1-2 acre lots offer beautiful views and peaceful serenity. Co-op water and electric service this area, individual septic system is required by the county. Desirable but limited deed restrictions are in place to protect your homestead investment. Lot 2 and 3 are each 1.0 acre listed at $89,000 each. Lot 1 is 2 acres listed at $129,000. Lot 4 is 2.148 acres listed at $140,000. These 4 lots have been subdivided out of a 150-acre parcel. Offers for larger lots of land from adjacent 146-acre and 25-acre parcels will be considered. Please register showing requests as noted in agent showing instructions. Be advised, land is in its natural state; dress accordingly and be prepared for brush, tall grass, rocks, uneven and or muddy ground surfaces, snakes, ticks, etc. Cattle may be present on the land, do not attempt to approach cattle. All info deemed reliable but not guaranteed. Buyer and buyer’s agent to verify any and all information.
Property Details
Price:
$89,000
MLS #:
21158219
Status:
Active
Baths:
0
Type:
Land
Subtype:
Unimproved Land
Subdivision:
The Preserve at Buchanan Place Phase 1
Listed Date:
Jan 19, 2026
Lot Size:
43,560 sqft / 1.00 acres (approx)
Schools
School District:
Sherman ISD
Elementary School:
Dillingham
Middle School:
Sherman
High School:
Sherman
Interior
Exterior
Fencing
Barbed Wire, Partial
Lot Size Area
1.0000
Number Of Lots
4
Financial

See this Listing
Aaron a full-service broker serving the Northern DFW Metroplex. Aaron has two decades of experience in the real estate industry working with buyers, sellers and renters.
More About AaronMortgage Calculator
Similar Listings Nearby
Community
- AddressTBD Lot 3 Adams Road Sherman TX
- SubdivisionThe Preserve at Buchanan Place Phase 1
- CitySherman
- CountyGrayson
- Zip Code75090
Subdivisions in Sherman
- 0000
- 00000
- AAron Burleson
- Aaron Burleson Surv Abs #61
- Alcoholic Services Add Rep
- Alvarez Add
- Ameristate Central Plaza Rep
- ARREDONDO ADDN
- Austin Landing
- Austin Landing Ph 2A-1
- Austin Landing Ph 3
- Austin Landing Ph One
- AUSTIN LANDING PHASE 2A-1
- AUSTIN LANDING PHASE ONE REPLAT
- Austin Park Add Rep Lt 13-2
- B B B & C R R Surv A-151
- Bailey Winifred
- Barnes Kirkpatrick
- Barrett R O
- Bay Meadows Add
- Bel Air Village
- Bel Air Village Townhomes
- BEL AIR VILLAGE, PHASE 1
- Bel Air Village: 50ft. lots
- Bel Air Vlg Ph 1
- Bel Aire
- Bel-Air Vlg Ph 1
- Bel-Air Vlg Ph I
- Belair
- Belaire Add
- Belaire Addn
- Belmont Add
- Belvedere Estates Add
- Belvedere Estates Rep Lt 1
- Benj Lind Surv Abs 733
- Benjamin F Fitch Surv Abs #430
- Bentbrook
- Bentbrook Add
- Bethany Road Estates
- Bethany Road Estates #2
- BLAGG SAMUEL A-G0056
- Bonds 2nd Add
- BONDS G W 3RD ADDN
- Boyer & Lucas Add
- Boyer & Lucas Addn
- Bradley J W Add
- Brogan\’s Add
- Brogden Wm H
- Brookstone Estates
- Brookstone Estates ADDITION
- Brookstone Ests Add
- BROOKWOOD ADDN
- Bucks Raymond E Add
- Buffalo Bayou Brazos & Colorad
- Bumpass
- BUTRIDGE R
- Cadia
- Campbell Ranch
- Canyon Creek Add Sec 1-B
- Canyon Creek Addn Sec 2-B
- Canyon Creek Addnrpl Sec1
- Canyon Creek Estates
- Canyon Creek West
- Canyon Creekrpl Sec 1b&2a
- Carriage House Estates
- Carter J Q A Add
- Carters W P Add
- Carters W P ADDN
- Casa Linda 2nd Add
- CASA LINDA 2ND ADDN
- Casa Linda 5th Add
- Casa Linda Add
- Castle Heights Add
- Cedar Hills Estates Ph Two
- Cedar Park Village
- Center At Gallagher Drive
- CHAFFINS 1ST ADDN
- Chaffins 2nd Add
- Chamber-Iains Rdg Sub
- Chapman L C Add
- Christian College
- Christian College Add
- CHRISTIAN COLLEGE ADDN
- Churchill Park Add
- Claiborne Morgan Surv Abs #766
- Clarksonrplt Moorman Blk1
- Classics Sub
- College Park 2nd Add
- College Park Add
- COLLEGE PARK ADDN
- College Park Second Add
- Colling Add Sec 2
- Constitution Village
- Copley Add
- Cottages at Magnolia Village
- Cottages of Magnolia Vlg
- Country Ridge Estates 1
- Country Ridge Estates 2
- Country Ridge Estates 3
- Country Ridge Estates 4
- COUNTRY RIDGE ESTATES NO 2
- COUNTRY RIDGE ESTATES NO. 1
- Cox J P Sr Sub
- Crestview Add
- Crutchfield
- CTC Whitney Road Addition
- D & M Sub
- David H Brown Add
- Davis F W
- Diamond Tee Estates
- Dos Lagos Sub
- DOUGLAS
- Dr Swamy Add III
- E L Benzel
- EARNHARTBUILTS 8TH REPLAT
- East Sherman
- East Side
- Eighty-Two East Sub
- Eldridge
- Elizabeth Hopson Homestead
- Elliott W
- Elliotts Gray Hillreplat
- Elliotts W Add
- Elm Grove Add
- Emory
- Epstein At Hazelwood Add
- Epsteins Add
- Estates at Baker Park
- Estates Baker Park
- EstatesBaker Pk Ph 1
- Exsteins Maple Add
- Exsteins Maple Add Rep
- EXSTEINS MAPLE ADDITION REPLAT BLK 6, LOT 10
- EXSTEINS MAPLE ADDITION REPLAT BLK 6, LOT 15
- EXSTEINS MAPLE ADDN
- Fisher Fairmont Add
- Fitch J A Add
- Forrest Glen
- Friends OF Own Decoy Ests Ph 2
- Friends Own Decoy Ests
- Fw Davis Surv Abs #338
- G-0029
- G-0056 – BLAGG SAMUEL A-G0056
- G-0056 BLAGG SAMUEL A-G0056
- G-0056 BLAGG SAMUEL A-G0056, ACRES 0.131
- G-0061
- G-0061 BURLESON AARON
- G-0061 BURLESON AARON A-G0061
- G-0255 CARRICO IGNATIUS A-G0255
- G-0356
- G-0368 Douglas Henry 96.69 acres
- G-0425 FOX JAMES A
- G-0472
- G-0504
- G-0625 – JONES ELIZABETH A-G0625
- G-0650 JAMES HOGAN
- G-0661 JACKSON J P A-G0661
- G-0667 KITCHEN PRESTON A-G0667
- G-0667 KITCHEN PRESTON A-G0667, ACRES .7159, LOT 6
- G-0763
- G-0763 – MCANAIR J B
- G-0763 MCANAIR J B, CHERRY BEND
- G-0763 MCANAIR J B, TRACT 120 X 505, ACRES 1.39
- G-0765
- G-0789
- G-0963
- G-0963 PILANT G B A-G0963,
- G-0963 Pilant G B A-Go963
- G-1020 – REEVES GEO R A-G1020
- G-1020 REEVES
- G-1047-ROYAL S C A -G1047
- G-1097 – SHELP D C A-G1097
- G-1154
- G-1217 TUCKER H H A
- G-2031
- G-2109
- G-2468 – SHAFER PLAZA
- G-2852
- G-6620
- G-7820
- G-8047
- G2222
- Gates A V Add
- George Morgan Surv Abs 773
- Geren J P Addnreplt Fitch
- Gleckler Plaza
- Golden Acres
- Gorrell JB A G0472
- GRAHAM ADDN RPLT
- Grays G Y 1st Add Suppl
- GRAYS G Y 1ST ADDN
- Grays G Y 2nd Add
- GRAYS G Y 2ND ADDN
- Greenmount 1st Add
- GREENMOUNT 1ST ADDN
- Greenmount 2nd
- Greenmount Add Rplt Blk 14
- Gregory Place
- Grove Add
- H Kattenhorn Surv A-672
- HALL G W
- Hams Frank South Highland
- Hancock Ranch Estates
- Hare & Randolph
- Hare & Randolph Add
- HARPERSREPLAT BIRGE-FRVW
- Hayes Mitchell Contemporary
- Hazelwood & Vaden Add
- Helvey Add
- Heritage Creek
- Heritage Crossing
- Heritage Crossing Ph 1
- Heritage Crossing Phase 1
- Heritage Crossing Phase Two
- Heritage Crossing Stage 1
- Heritage Estates
- Heritage Farms
- Heritage Farms Estates
- Heritage Park Add Ph One
- Heritage Ranch
- Heritage Ranch 40\’s
- Heritage Ranch 40s
- Heritage Ranch: 50ft. lots
- Hidden Meadows
- High Country Estates Sub
- Highland Mdws Ests Ph 3
- HIGHLAND MEADOWS EST REPLAT
- Highland Park 1st Add
- Highland Park 2nd Add
- Hill Smith Estate
- Hilltop Estate Sub
- Hilltop Estates
- HO4<2001
- Hudson South Addition
- Ida South Estates
- Idlewood Acres Add
- Independence Square Addn
- J &R Kingham Surv Abs #687
- J B MCANAIR
- J B Mcanair Surv Abs #763
- J B Mcnair Surv Un #2 Abs # 76
- J C Linnstaedts Add
- J Emery Surv Abs #1432
- J Lessly Surv Abs #744
- JB McNair
- JB McNair Surv ABS
- Jb Mcnair Surv Abs # 763
- Jh Chaffin Surv Abs #311
- JONES & SUMMITT ADDN
- Jones & Wainrights Add
- JONES & WAINRIGHTS ADDN
- JONES ELIZABETH
- Jones Elizabeth A
- KATTENHORN HENRY
- Keniffs Hattie M Sub
- Kerrs N Walnut Addn
- Kesslers View Addnreplat
- King R A Add
- Kings Ridge Rep Of Kings Ri
- Ladd Estates II
- Laughlin Acres
- Laurel Creek
- Legends Ph Two Preston Club
- LEGENDS PHASE TWO PRESTON CLUB
- LINNSTEAD J C ADDN
- Live Oak Add Sec 2
- Live Oak Add Sec 4
- LIVE OAK ADDN RPL PT
- Loving A R Add
- LOVING A R ADDN
- Luella Crossing
- Lyon & Keliehor Blk
- M B Moores Add Rep Lt 35
- Madison Heights Add
- Magnolia
- Magnolia Village
- Magnolia Villiage
- MARTIN HARDY
- Martin William
- Maxeys 2nd Add
- Maxeys 4th Add Blks 4, K, L
- Mayhew
- Mayhew Suppl
- Mc Gentry Surv Tract 2 Abs 473
- McAnair
- MCANAIR J B
- McAnair JB
- McAnair JBA
- Mcduffie W S Blk
- Mcglothlin G W
- MCKINNEY & WILLIAMS A-G0866
- McNair JB
- Meadows Business Park
- Meeks Rep
- Mian Terrace
- Midway Estates Ph 1
- MOORE B H HEIRS
- Moore M B Add
- Moorman-Moore
- MORA ON FIRST ADDITION
- Mulkeys Addnrplt Shannon
- N Branch
- Nash Estates
- Nash Estates Phase 2
- No
- Nobles A A Add Rep
- North Creek Sec 1 Rplt Blk 1-9
- North Haven Add Rep Turtle
- North Texas Estates
- Northridge Add Sec 1
- Northwest Add
- NORTHWEST ADDN, BLOCK 1, LOT 3, ACRES 2.43
- Northwood
- Northwood Add
- Northwood Heights Add
- Norwood Add
- Ohanlon Ranch
- Ohanlon Ranch Add Ph 2
- Ohanlon Ranch Add Ph 3
- Ohanlon Ranch Add Ph 4
- Ohanlon Ranch Add Ph I
- Old Ida Estates
- Otp Sherman
- Parkhaven North
- Parkway Plaza Add
- PARR
- Pebblebrook
- Pebblebrook Ph 2
- Pebblebrook Ph III
- Pebblebrook South Ph III
- Pecan Grove
- Pecan Grove Village
- Pilant G B
- plunked cedar
- plunkett cedar
- PNS Enterprise Addition
- Post Oak Add
- Preserve Ph 1
- Preston Club The Classics Ph 3
- Preston Club The Classics Sub
- Preston Club The Legends Ph 3
- Randolph Heights Add
- Redick Add
- REED LEONARD
- Ridgeview Court Estates Rep
- Ridgewood Add
- Ridglea 2nd Add
- Ridglea Add
- Rm Williamson Surv Abs # 1300
- Rosborough
- Samuel Blagg
- Samuel Blagg Surv Abs #56
- Schneider Farm
- Schneider Farm Subdivision
- Schneider Farms
- Schneider Farms Subdivision
- SHADOW MOUNTAIN
- Shannon Heights
- SHANNON HEIGHTS ADDN
- Shannon Heights Addnreplt
- Shannon JBA
- Shannon R E & M Add
- Shannon R E 2nd Add
- Shannon T J Suppl
- Shannon T J Town
- Shannon W M Suppl
- Sherden Terrace
- Sherman
- Sherman Crossroads Medical #2
- Sherman Heights
- Sherman Industrial Development
- SHERMAN LIVE OAK
- SHERMAN MINI WAREHOUSE ADDN
- Sherman Nick Add
- Sherman Ranch Estates
- Sherman SE Rural
- Sherman Town Center Sec II
- SHNEB4OLD BEBLETT CLS 4 2014
- SHOISD RURAL
- smith Oak
- South Fork Estates
- Southside
- Southside Add
- Southside Add Rep
- Star Add
- STARLIGHT MEADOWS
- Starlight Meadows Add
- Stone Creek
- Stone\’s Corner Add
- Stonewood Estates
- Stowe C L Add
- STOWE C L ADDN
- Sturgess Add
- Sunset Crossing
- Swanner Add
- Sweetwater
- Sweetwater Spgs Sub
- T B Gates Surv Abs #479
- Tatchio Add
- TB4NEW 2015 YB AND UP
- TERRY J B
- Texas Nurseryreplt S Side
- Texoma Dermatology Clinic Add
- Texoma Pkwy
- The Grove
- The Grove Addition
- The Grove ADDN
- The Preserve
- The Preserve Ph 2 60\’ lot
- The Preserve Ph 3 60\’ lot
- Thomas J Hambright
- THOMPSON WILLIAM
- Three Oaks
- Tobar Add S 48 30 & W 8
- Town North Add
- Tract 1
- TRAILS END SUBDIVISION
- TURTL CREEK N SEC 2
- Turtle Creek N Add
- Turtle Creek N Add Sec 2
- Turtle Creek N Addnreplat
- Turtle Creek S Add Sec 1
- Turtle Creek S Add Sec 2
- Turtle Creek S Add Sec 3
- TURTLE CREEK S ADDN SEC 3
- UNDERWOOD ADDN REPLAT LT 1 & 2 UNDERWOOD ADDN, LOT
- Vaden Jus
- Vista Norte Add Ph One
- Vista Norte ADDN
- W. A. Watkins A-G1325, Tract 16, Acres 1.0
- Washington Bend Add
- Washington Mdws Ph 2
- Washington Meadows
- Washington Park
- Washington Park Add
- Washington Park Addition
- Washington Park Addn
- Washington Park Addnreplt
- Washington Place
- Washington Place Add
- Watkins W A
- West Canyon Creek Estates Sec 3
- Western Acres
- Western Hills Add
- Western Hills Add Sec 2
- Western Hills Add Sec 3
- Western Hills Add Sec 5
- Westhaven Add
- Westmoor
- Westmoor Addition
- WESTVIEW
- Westview ADDN
- Westwood
- Westwood 3rd Add
- Westwood 4th Addition
- Westwood 5th Add
- Westwood 6th Add
- Westwood 6th Add Rep
- Westwood 8th Add
- Westwood 9th Add
- Westwood Add
- Westwoood Village
- William A Watkins Surv Abs #13
- Williamson R M A
- Wilsonwood Estates
- Windsor Place Add
- Windsor Place Add Rep
- Windwood Place Add
- Woodhaven Addnrpl Lot6-45
- Woodland Hills
- Woodland Hills Add
Market Summary
Property Summary
- Located in the The Preserve at Buchanan Place Phase 1 subdivision, TBD Lot 3 Adams Road Sherman TX is a Land for sale in Sherman, TX, 75090. It is listed for $89,000 and features 1 acres. To schedule a showing of MLS#21158219 at TBD Lot 3 Adams Road in Sherman, TX, contact your Aaron Layman Properties agent at 940-209-2100.

TBD Lot 3 Adams Road
Sherman, TX




