Location
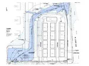
This property presents an exceptional opportunity for builders and developers seeking entitled land in Denton’s expanding residential market. The recently approved R6 zoning, Feb 2026, provides flexibility for various residential product types, while the complete site plan minimizes development timeline risks. Seller is currently in the process of getting final plat approval with the city for 28 duplex lots. Single family, duplex, townhomes, triplex, and fourplex are all permitted under the R6 zoning. Price is for paper lots.
Perfect for builders looking to secure pipeline in a prime growth corridor, this offering allows for acquisition as paper lots.
Contact listing agent for complete due diligence package, pricing details, and development specifications. Owner is listing agent.
DEVELOPMENT HIGHLIGHTS:
Strategically located residential development opportunity in growing Denton market
Recent R6 zoning approval allows for efficient lot layout and maximum density
Comprehensive site plan features 28 buildable lots with efficient street layout
Green space integrated throughout the development with 30′ buffer zones
Existing open space preserved along northern boundary
Proximity to established neighborhoods and existing infrastructure
Convenient access via Mingo Road with planned landscape enhancements
Perfect for builders looking to secure pipeline in a prime growth corridor, this offering allows for acquisition as paper lots.
Contact listing agent for complete due diligence package, pricing details, and development specifications. Owner is listing agent.
DEVELOPMENT HIGHLIGHTS:
Strategically located residential development opportunity in growing Denton market
Recent R6 zoning approval allows for efficient lot layout and maximum density
Comprehensive site plan features 28 buildable lots with efficient street layout
Green space integrated throughout the development with 30′ buffer zones
Existing open space preserved along northern boundary
Proximity to established neighborhoods and existing infrastructure
Convenient access via Mingo Road with planned landscape enhancements
Property Details
Price:
$2,100,000
MLS #:
21126305
Status:
Active
Baths:
0
Type:
Land
Subtype:
Unimproved Land
Subdivision:
Sequoia Park
Listed Date:
Dec 5, 2025
Lot Size:
387,248 sqft / 8.89 acres (approx)
Schools
School District:
Denton ISD
Elementary School:
Hodge
Middle School:
Calhoun
High School:
Denton
Interior
Exterior
Frontage Feet
793
Lot Size Area
8.8900
Number Of Lots
28
Financial

See this Listing
Aaron a full-service broker serving the Northern DFW Metroplex. Aaron has two decades of experience in the real estate industry working with buyers, sellers and renters.
More About AaronMortgage Calculator
Similar Listings Nearby
Community
- Address1902 Kiowa Road Denton TX
- SubdivisionSequoia Park
- CityDenton
- CountyDenton
- Zip Code76209
Subdivisions in Denton
- A Hill
- A0421A
- Acme Brick Add
- Alex Robertson Add
- Alexander Hill Surv Abs # 623
- Alyssa & David Add
- Artesia Ph 4a
- Atkins
- Audra Estates
- Audra Meadows
- Audra Meadows Ph 2
- Audra Oaks Ph 1
- Audra Pointe
- Austin Condo
- Avondale 02
- Avondale 3
- Barnes
- Batey Add
- Bbb & Crr
- Beall Way
- Beaver Creek
- Beaver Creek Ph 1b
- Beaver Creek Ph 2
- Beaver Creek Ph 3
- Bellaire
- Bellaire Crossing
- Bellaire Heights Ph 2
- Bellaire Heights Ph 3
- Bellaire Heights Ph 5
- Benchmark 2
- Benchmark Villas
- Bent Creek Estate Ph 1
- Bent Creek Estate Ph II
- Bent Creek Estate Ph IV
- Bentoaks
- Bentwood Ph 1
- Beverly Park Estates Ph One
- Beverly Park Estates Ph Three
- Blount
- Bolton
- Braewood At Oakmont Ph II
- Braewood At Oakmont Ph III
- Brentwood
- Brentwood Place
- Briercliff Estate
- Brown Rearrangement Of Blk 5 W
- Brownwood
- Bryan Street Add
- Cambridge Brook
- Cambridge Brook – D.R. Horton
- Cambridge Brook Ph 1
- Cambridge Brook Ph 2
- CAMBRIDGE BROOK PHASE 1
- Cambridge Square
- Carmel Villas
- Carroll Park
- Carroll Point
- Central Village Estates
- Chad Miller Add
- Chaucer Estates Ph 1
- Chauser Estates Ph II
- College Beauty Add
- College View
- College View Addition
- Collins
- Connections Condo
- Cooper Crossing Sec I
- Cooper Landing Sec 4
- Country Club
- Country Club Road Estates Add
- Country Club Terrace Ph 1
- Country Club Terrace Ph 2
- Country Club Terrace Ph1
- Country Club Village Ph 1a
- Country Club Village Ph 1b
- Country Club Village Ph 3a
- Country Lakes
- Country Lakes Classic 50
- Country Lakes Classic 60
- Country Lakes North
- Country Lakes North Ph 2
- Country Lakes North Ph 3a1
- Country Lakes North Ph 3c
- Country Lakes North Ph 4
- Country Lakes North Ph 5a
- Country Lakes North Ph 7
- Country Lakes West
- Country Lakes West P
- Country Lakes West Ph One
- Country Lakes West Ph Two
- Country View MHP
- Courts of Bonnie Brae
- Creekside
- Crestwood Heights
- Crestwood Heights Ext 1
- Crestwood Heights Ext 2
- Daniel
- Deerwood Ph 1
- Deerwood Ph III
- Denton County North
- Denton Estate
- Denton Living Add
- Denton North Add
- Denton Nursing Center Add
- Dicus
- Donna Del Estates
- E Puchalski
- Eagle Cove
- Eagle Cove Add
- Eagle Creek
- Eagle Creek 2B
- Eagle Creek Phase 3A
- Eagle Crk Ph 1b
- Eagle Crk Ph 2a
- Eagle Crk Ph 2b
- Eagle Crk-Ph 2b
- East Hampton Village Ph 1
- East Oaks Add Ph III
- Eastridge
- Eli Pickett
- Estates Of Forrestridge Sec 1
- Estates Of Forrestridge Sec 2
- Estates Of Forrestridge Sec 3
- Evers Way
- Ewing Add
- Fallmeadow North Add
- Fireside Add Ph 1
- Fireside Add Ph I
- Forest Meadow
- Forest Meadow Ph 1
- Forest Meadow Ph 2
- Forman Williamsburg Square
- Forman Williamsburg Square Ph
- Forrestridge Sec 1
- FORRESTRIDGE SEC 2
- Forrestridge Sec 3
- Frame Add
- Freeway Park 2
- Fry D H
- Fry E J
- G Barb
- G Walker
- Gigliotti Add
- Glenwood Mdws
- Glenwood Meadows
- Glenwood Village
- Grant Estates
- Green Trees Estate
- Greenbelt Add
- Greenfield Woods Add Sec 1 Ph
- Greenlee Add
- Greens Of Oakmont
- H Sisco
- Haddad Add
- Hann Add
- Hannah Estates
- Hannah Estates Ph 3
- Harris
- Harvest Hill
- Hb Williams
- Headlee
- Headlee BLK
- Hercules West Add
- Heritage Add
- Hickory Creek Heights
- Hickory Creek Ranch Ph 1
- Hickory Creek Ranch Ph 2
- Hickory Grove
- High School Add
- HIGH SCHOOL ADDN
- Highland Ridge Add
- Highlands Pkwy
- Hills Of Argyle Ph III
- Hillside Add
- Hillside Add Condo
- Holiday Park
- Hopkins Hill Add Sec 2
- Indian Ridge Sub
- Industrial School Add
- Infinity Strata
- Infinity Strata Add
- Inman Add
- J V S Add
- Jamart Add
- James Daugherty
- John Roady Add
- Js Dickson
- Jw Withers
- Kings Ridge
- Kings Ridge Estates
- Kings Way
- Kingston Trace Sec 2
- Kingston Trace Sec 4
- Lake Forest Village
- Lakeview Ranch Ph 1
- Lakewood Est Mhp
- Laurel Add
- Lee Meadows 2
- Legacy Ranch
- Lexington Park Ph 1
- Lexington Park Ph 2
- Lexington Park Ph 3
- Lincoln Park
- Lincoln Park Sec 3
- Longridge Estates
- Lovell Add
- M Forrest
- M. Forrest
- Mack
- Mack 4
- Maple Leaf Homes Add
- Mcdonnell Highlands Ph 1
- Mcdonnell Highlands Ph 2
- Mcdonnell Highlands Ph 3
- Mckamy Evers Estates Ph 1
- McKennon
- Meadow Oak Sec 1
- Meadow Oak Sec 2
- Meadow Park
- Meadow Ridge Add
- Meadowbrook
- MEADOWS AT HICKORY CREEK
- Meadows At Hickory Creek Ph
- Meadows At Hickory Creek Ph On
- MEP & PRR
- Mercer
- Mesa Verde
- Mesquite Ridge Twnhs Add
- Milam Creek Ranch Ph 2
- Mockingbird Heights
- Monarch at the Meadows
- Montecito Add
- Montecito Del Sur
- Montecito Del Sur Add
- Montecito Del Sur Phase One
- MONTECITO DEL SUR SEC 2 PH 1
- Mounts 2
- Mozingo Add
- Mulberry Creek Add
- Mulkey Sub
- N H Meisenheimer
- North Horizons
- North Lake Park
- North Lake Park Add Ph 2
- North Lake Park Add Ph 4
- North Lake Park Add Ph 5
- North Lake Park Adn Ph 1a
- North University Place
- Northpoint Add Ph III
- Northpointe Ph 1 Denton ISD
- Northpointe Ph 2 Denton ISD
- Northpointe Ph IV A
- Northpointe Ph IV B
- Northpointe Phase 6
- Northridge Sub
- Northside Add
- Northwood
- Northwood #2
- Northwood #3
- Northwood #5
- Northwood #6
- Northwood #7
- Northwood #8
- Northwood #9
- Northwood 11
- Northwood Estate
- Nottingham Woods
- O T Denton
- Oak Hill Add Sec 2
- Oak Ridge Estates
- OAK VISTA ADDITION
- Oakmont II Sec I
- Oakmont II Sec Iia
- Oaks Of Montecito Ph 5 Sec A
- Oatman Add
- Old North Park
- Old North Park Ph Ii-A
- Old North Park Ph III
- Owsley Park
- Park West Add
- Parkview
- Parkvue
- Parkvue Ph 1
- Parkvue Ph 2
- Pecan Forest
- Perch Denton Addition
- Ponder Add
- Prominence Square Ph 1
- R Beaumont
- Ranch Estates
- RANCH ESTATES BLK E SW CORNER 6 4070-E AB
- Reserve at Creekside
- Ridgemont Add Ph I
- River Oaks Add Ph 1
- River Oaks Add Ph 2
- River Oaks Add Ph 3
- River Oaks Add Ph 4
- River Oaks Add Ph 5
- Riveroaks Add Ph 03
- Robinson Oaks
- Robson Ranch
- Robson Ranch 1 Ph 2
- Robson Ranch 11
- Robson Ranch 14
- Robson Ranch 15
- Robson Ranch 16
- Robson Ranch 2
- Robson Ranch 2 Ph 1
- Robson Ranch 2 Ph 2
- Robson Ranch 24
- Robson Ranch 25
- Robson Ranch 3 Ph 1
- Robson Ranch 3 Ph 2
- Robson Ranch 4 Ph 1
- Robson Ranch 4 Ph 2
- Robson Ranch 5 Ph 1
- Robson Ranch 5 Ph 2
- Robson Ranch 7 Ph 1
- Robson Ranch 7 Ph 2
- Robson Ranch 8 Ph 1
- Robson Ranch 8 Ph 2
- Robson Ranch 9 Ph 1
- Robson Ranch 9 Ph 2
- Robson Ranch Un 20
- Robson Ranch Un 25-2
- Robson Ranch Un 6-1
- Robson Ranch Unit 10-1
- Robson Ranch Unit 17-1
- Robson Ranch Unit 18
- Robson Ranch Unit 18-2a
- Robson Ranch Unit 2
- Robson Ranch Unit 2-5
- Robson Ranch Unit 27
- Robson Ranch Unit 28-1
- Robson Ranch Unit 47
- Robson Ranch-Un 20
- Robson Ranch-Un 26
- Royal Acres Add
- Ryan Meadows Ph I
- Ryan Ranch Ph I
- Ryan Ranch Ph II
- Ryan Woods
- S Huizar
- S.C Hiram
- Sagebrook
- Sagebrook Ph I
- Sauls Add
- Sc Hiram
- Schmitz & Rippy
- SD0785A – DENTON BAPTIST ASSOCIATION
- Sequoia Park Ext 1
- Sequoia Park Rev
- Shadow Brook Ph II
- Shadow Brook Place
- SHERMAN CROSSING
- Sherman Crossing Add Phas
- Sherman Xing Ph 2b
- Simmons Add
- Singing Oaks
- SINGING OAKS 4
- Snider Add Sec 1
- Snider Add Sec 2
- Snider Add Sec 3
- Solar Way
- Solar Way Sec 2
- Solomon Hill 1
- Solomon Hill 3
- South Park 5
- South Park 6
- Southmont Place
- Southridge
- Southridge Center
- Southridge East Ph 1
- Southridge Estate Ph 2
- Springhill South – Express
- Ssmg Add
- St Andrews Church Of God In Ch
- Stark Farms
- Stark Farms Ph 1
- Stark Farms Ph 2
- Stark Farms Ph 3
- STARK FARMS PHASE 2
- Stark Farms, Phase 1, Blk F, Lot 7
- STARK PHASE PHASE 2 BLK R LOT 9
- Stratford 1
- Stroud Add
- Stuart Rdg Ph 1
- Stuart Ridge
- Stuart Ridge Ph 1
- Summer Oaks
- Summer Oaks Add
- Summerwind Ph 1
- Summit Oaks Add
- Summit Oaks Add Ph II
- Summit Oaks Addn
- Sundown Ranch
- Sundown Ranch Ph 2
- Sundown Ranch Ph 3
- Sundown Ranch Ph 5
- Sunvalley
- Sunvalley 2
- T J Fouts
- T N Skiles
- Taylor Block Addn Blk 1 Lot 12
- Taylor Park Add
- Teasley Harbor Ph 1
- Teasley Harbor Ph 2a
- Teasley Trails
- Teasley Trails Ph
- Teasley Trails Ph 1b
- Teasley Trails Ph I
- Teasley Trails Ph III
- Teasley Trails Phase III
- Th Living
- The Hills Of Argyle Ph I
- The Hills Of Argyle Ph II
- The Loop Addition
- The Meadows
- The Oaks Of Township 2
- The Preserve At Pecan Creek Se
- The Village Ph 4
- The Vintage Ph One A
- The Vintage Ph One B Two A
- The Vintage Ph Two B
- The Woodlands Of Township 2
- Thistle Hill Estate Ph I
- Thistle Hill Estate Ph II
- Timber Oaks Estates
- Timberidge
- Town North 6
- Town Send Green Phase 1
- Towne North
- Towne North 3
- Towne North 5
- Towne North 6
- Townsend Green
- Townsend Green Ph 1
- Trinity Preserve
- Tunnicliff
- Tuscan Hills
- Unicorn Lake Estates Ph 3
- Union Park Ph 4a
- Ve Gailor
- Veterans Add
- Villages of Carmel
- Villages Of Carmel P
- Villages Of Carmel Ph 2c
- Villages Of Carmel Ph 4a
- Villages Of Carmel Ph I
- Villages Of Carmel Ph III
- Villas of Piney Creek
- Villas Of Piney Creek Ph 1
- Villas of Pineycreek
- VINTAGE TOWNHOMES
- Vintage Village
- Vista Del Arroyo
- W Dabbs
- W Durham
- West Oak Add
- Westchester Park
- Western Hills
- Westgate Heights
- Westgate Heights Ph 1
- Westgate Hills North Ph 1
- Westgate Park
- Westglen
- Westridge
- Westview
- Wheeler Add
- Wheeler Ridge Ph Four
- Wheeler Ridge Ph One
- Wheeler Ridge Ph Three
- Wheeler Ridge Ph Two
- Wheeler Ridge Phase Four
- Williamsburg Square
- Willowcreek
- Willowwood
- Willowwood West
- Wimbleton Village
- Wind River Estate Ph 1
- Wind River Estate Ph IV
- Wind River Estate Ph V
- Wind River Estate Ph VI
- Wind River Estate Ph Vii
- Windhaven
- Windsong At The Village Ph 5
- Windsor Farms Ph 1
- Windsor Oaks Add Ph 1
- Windsor Park
- Windsor Ridge Estates
- Windsor Ridge Estates Ph 1
- Wingate Terrace Twnhms Condo
- Winston Add
- Wm Loving
- WM Neill
- Wooded Acres
- Woodland Hills
- Woodmere
- Woodmere Ph I
- Woolaver Add
- Wright Add
- Wynstone At Oakmont Ph I
- Wynstone At Oakmont Ph II
Market Summary
Property Summary
- Located in the Sequoia Park subdivision, 1902 Kiowa Road Denton TX is a Land for sale in Denton, TX, 76209. It is listed for $2,100,000 and features 9 acres. To schedule a showing of MLS#21126305 at 1902 Kiowa Road in Denton, TX, contact your Aaron Layman Properties agent at 940-209-2100.

1902 Kiowa Road
Denton, TX







